Nagyon régen volt már tavaly szeptember, amikor utoljára tengerben merültünk. Szerencsére azért a búvárfelszerelésünk nem pihente végig ezt a közel hét hónapot, mert időközben beindult a búváriskolánk, és az elmúlt hónapokban több tanulót is felkészítettünk az OWD illetve AOWD (kezdő ill. haladó nyílt vízi búvár) vizsgára.
Nyílt vízi vizsgát itt Magyarországon csak néhány tóban lehet tartani, de ezekben elég botrányos a látótávolság, így kezdő tanulókat nem szívesen viszünk ide. Van még egy valamivel jobb látótávval rendelkező tó Szlovákiában, Feketenyéken, de az sem az igazi. Ezért igyekszünk úgy szervezni a dolgokat, hogy a nyílt vízi vizsgákat tengerben tarthassuk. Az idei első ilyen vizsgákra most került sor, méghozzá Egyiptomban, El Quesir-től nem messze.
Találtunk egy nagyon kellemes kis resortot, a Novotel Marsa Alamot, amely még árban is nagyon kedvező volt. A resorton belül van a búvárközpont, amit egy francia férfi és a felesége, Lolo és Cathy vezet. Lolo-val már az utazás előtt nagyon sokat beszéltem whatsappon, leegyeztettem vele mindent, és előre elvégeztük a papírmunkát is, hogy amikor megérkezünk, ne menjenek el órák a különféle adatlapok kitöltésével, útlevelek fénymásolásával és ehhez hasonló nemszeretem feladatokkal.
A német TUI szervezésében utaztunk összesen 12-en, bécsi indulással. A 12 főből velünk együtt 7 búvár volt, közülük 4 vizsgázó volt. Lolo nagyon rugalmasan állt ehhez a kérdéshez, így flottul sikerült levezényelni mindent.
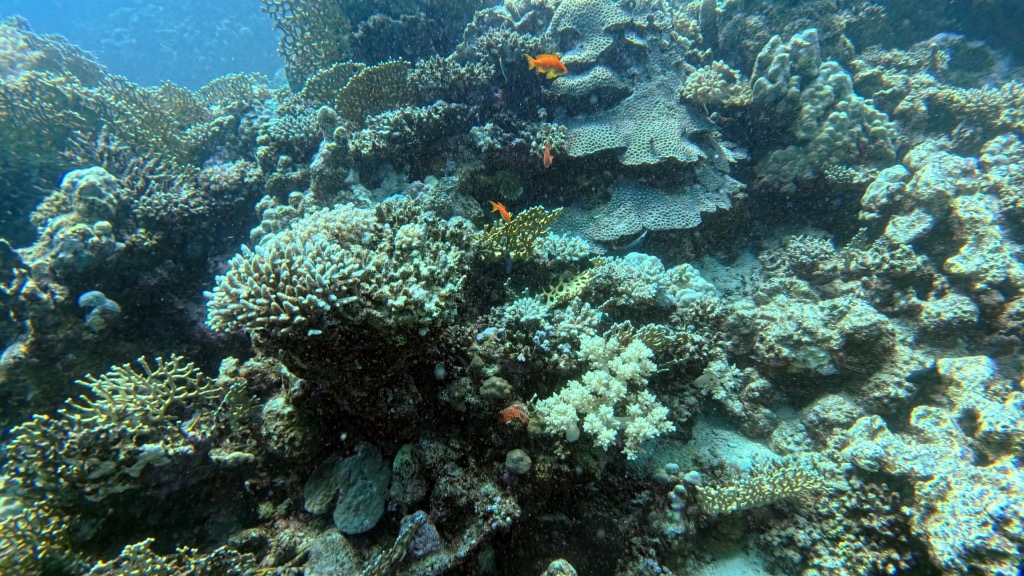
Öt napon át napi 2-szer merültünk. Első és második napon mindenki sikeresen teljesítette a vizsgákat, így második nap délutántól már ténylegesen csak a környezet, az élővilág csodálatával töltöttük az időt a vízben. Az időjárással is szerencsénk volt, a víz kellemes 24 fok körüli volt, és az utolsó napot leszámítva nem voltak nagy hullámok vagy erős áramlatok sem. Mutatok is Nektek pár képet a víz alól:







Utolsó napon elhatároztuk, hogy az első merülésünket nagyon korán, reggel 7-kor tartjuk, abban a reményben, hogy ilyenkor esetleg több állatot, elsősorban ragadozókat lehet majd látni, amelyek éppen vonulnak vissza az éjjeli vadászatból. Ez sajnos nem jött össze, mert olyan erős szél és hullámzás volt, hogy nagyon veszélyes lett volna a vízbe való be- és kimenetel. Itt úgy van kialakítva a merülőhely, hogy a korallzátony felett végig megy egy stég, ami a korallfalnál ér véget, és itt lépcsőn lehet bemenni a vízbe. Ez nagyon kényelmes, viszont erős hullámzásnál nem túl biztonságos. Ezért Lolo javaslatára elmentünk vele és egy másik helyi merülésvezetővel, Mahmouddal Mangrove Bay-re. Ez egy sokkal nyugodtabb hely volt, lényegesen kisebb hullámzással, és szinte nulla áramlattal. Mondta is Lolo, hogy ez a kezdők paradicsoma, ő is sok teljesen kezdő tanulót visz ide.
Ez a hely 10 perc buszútra volt a szállásunktól, úgyhogy elég gyorsan odaértünk. Itt nincs lépcső, hanem sima shore dive van, azaz a partról egyszerűen besétálunk és lemerülünk. Itt a látótávolság kevésbé volt jó, sőt, az elején kifejezetten rossz volt a felkavarodott homok miatt, de egy rövid úszás után már tisztább vízben találtuk magunkat. Itt is készültek képek természetesen :)



Amikor éppen nem búvárkodtunk, akkor pedig a medencénél lazítottunk. Ilyen nagy társaságból mindig volt ott valaki, így remekül telt az idő. A resort egyébként nagyon szép, sok növény van, nagyon hangulatos. Az egyetlen, amit fel tudunk róni negatívumként, az az étkezés: a választék messze elmarad attól, amihez hozzászoktunk, de éhen így se maradtunk soha, valami finomságot mindig találtunk. A lazac, a tonhal és a maracuja viszont nagyon hiányzott, nem is értettük, hogyhogy nincs egyik sem.
És akkor jöjjenek a resortról is a képek:










Viharszerű gyorsasággal eltelt megint az egy hét és azon kaptuk magunkat, hogy csomagolni kell, mert indulni kell haza. A tizenkét embert odafelé is, visszafelé is remekül tudtuk koordinálni, pedig nem a legegyszerűbb módon utaztunk :) Fentebb már mondtam, hogy Bécsből indultunk, ide vonattal utaztunk. A repülőgép Hurghadában szállt le, innen még egy jó kétórányi autóútra volt a szállás. Visszafelé pedig ugyanez volt a menetrend. Kicsit így fárasztóbb volt az utazás, mert háztól házig nagyjából 15 óra volt, viszont annyival jobb árat kaptunk a német TUI-tól, mint bárkitől itt Magyarországon, budapesti indulással, hogy ez bőven megérte a fáradságot.
Azt hiszem, mindenki jó élményekkel, a vizsgázók ezen kívül szép sikerekkel tértek haza.
Nekünk pedig alig két hónap, és indul az újabb túránk, ezúttal Brayka Bay-re, szintén vizsgázó tanulókkal. Ez a mostani út nagy sikerélmény volt számunkra is, így talán a szokásosnál is jobban várjuk a következőt, amelyről természetesen itt is lesz majd beszámoló :)